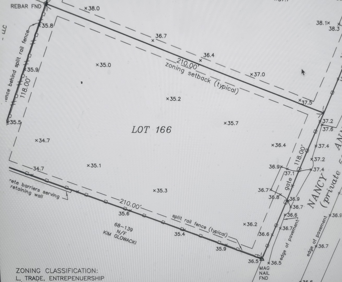
15 Nancy Ann Lane
Airport
$3,250,000
Bed: Bath:
This rare half acre CTEC zoned lot is currently leased and has an excellent cash flow, making it ideal to an investor who wants to continue to lease it as raw land or recognizes the value for future development. Utilities; town water, sewer, cable and electric are available at the street. The lot is 118×210, is flat and open and is subdividable. CTEC allows for 40% ground cover. There are no structures on the property. The current tenant uses it to store construction equipment and material. Currently leased until September 30, 2027 with Favorable terms to an investor. See broker for details.
William Raveis Nantucket
14 Still Dock
Town
$1,495,000
Bed: 1 Bath: 1.5
Tucked along Still Dock in downtown Nantucket, this beautifully renovated 1-bedroom, 1.5-bath unit offers an easy, elegant island lifestyle. Every detail has been thoughtfully considered, from the marble finishes to the custom millwork. Grab a coffee at Provisions, people watch on the docks, or bike to one of the many nearby beaches. Dining & shopping in every direction providing a fabulous Nantucket lifestyle. Easy rental income generator, offered fully furnished, and ready for the new owner to enjoy.
Maury People Sotheby’s International Realty
16A Boynton Lane
Mid Island
$995,000
Bed: 2 Bath: 1
This well-designed 2-bedroom, 1-bath condo offers comfortable living across three levels, conveniently situated near all mid-island amenities and less than two miles from Surfside Beach.
Great Point Properties
55 Orange Street
Town
$6,795,000
Bed: 5 Bath: 5.5
A piece of history tailored for today’s living. This exquisitely restored 1824 four-bay home, built by Captain John C. Gardner, invites us to appreciate an antique gem. A rich texture of history blends seamlessly with elevated updates and modern amenities across four finished levels. It’s a joy to experience a classic Nantucket house with refined interiors and two-car off-street parking. Of the five bedrooms, three are ensuite plus the option for a fourth. At this sunny corner of Lyon Street, the numerous windows cast light beautifully into the double parlor and bedroom above. Mature privet and arborvitae border the property and the expansive patio features a pergola. Through the arbor and behind the handsome garage shed is a flowering garden that compliments the bluestone sitting area. Sweeping views from the widow’s walk.
Lee Real Estate
11 First Way
Mid Island
$1,995,000
Bed: 3 Bath: 4
This welcoming Colonial-style home, circa 1997, is nestled on a spacious 1.8± acre lot, offering exceptional privacy and sweeping views of the surrounding natural landscape.
A rare find, the property offers the best of both worlds: peaceful seclusion and easy access to town, schools, shopping, and beaches.
The home features a traditional yet thoughtfully updated layout with three bedrooms, four bathrooms, a full basement, and a separate 1½-story barn, blending comfort, functionality, and timeless design.
This is a unique opportunity to enjoy both privacy and convenience on one of the area’s most generously sized and beautifully sited lots.
Berkshire Hathaway HomeServices Island Properties Nantucket
10 Sea Street
Town
$3,250,000
Bed: Bath:
Rare and conforming flat lot located in the Residential Old Historic District with architectural plans by Norman Residential Design (currently going through HDC approval) for a three story, 4,300 s.f., 5 bedroom, 5+ bath home. Potential harbor views from the second floor. Excellent central location in the heart of Nantucket Town.
Atlantic East Nantucket Real Estate
17 Pilgrim Road
Cliff
$14,500,000
Bed: 8 Bath: 9.5
Welcome to Cliff living at its finest! 17 Pilgrim is a rare opportunity to own a brand new home on a fabulous oversized property within walking distance to Town, north shore beaches and the Westmoor Club. Hanley Development has partnered with Sophie Metz Design to create a magnificent 7,600+ square foot compound featuring a 6 BR main house with garage, 2 BR guest house and pool/spa. The spacious main house has over 5,800 sq ft of finished living space with an attached garage and fully finished basement. The 2-story guest house offers an additional 1,826 sq ft of finished area with downstairs living space including full kitchen and two bedrooms upstairs. All bedrooms in both main and guest house are en-suite! The outdoor living is highlighted by the 16×30 pool with raised spa, outdoor kitchen and dining and a covered patio with fireplace off of the guest house. Construction is underway with completion scheduled for fall of 2026. Buyers now would have the ability to customize finishes or sit back and await full turnkey delivery of their dream home on the Cliff!
Hanley Garrette Group LLC
42 Main Street
Sconset
$11,500,000
Bed: 6 Bath: 7.5
Aptly named ‘Time Out’, this private Sconset Estate with an exquisite five bedroom main house, one bedroom guest house, heated pool and over sized garage is a summer oasis! The property is completely hedged in, abuts acres and acres of Nantucket Conservation Foundation open space and is set back from the street, with mature plantings and a lovely front and rear yard, affording much privacy. Designed by Botticelli and Pohl architects, this is an ideal home for multi generational use with five bedroom suites, three floors of finished living space, custom paneling throughout the home as wall as many built in details. There is a wonderful and bright ‘Chef’s Kitchen’ with all top of the line appliances and ample storage. The south facing patio and deck flows easily to the back yard and pool for summer enjoyment and entertaining. This is a wonderful opportunity to own on Sconset Main Street with close proximity to the center of town, beaches, Nantucket Golf Club, Sankaty Golf Club and the Sconset Casino. This stunning home with its timeless architecture is perfectly maintained and is ready to be enjoyed for many more years to come!
Lee Real Estate
Contact us for more information.
